 |
| がまかつファングループ宮城支部は平成26年4月現在、会員数約47名の釣りをこよなく愛する釣人の集まりです。 |
GFG宮城支部では、懇親会をメインとした釣りの行事を、船カレイ・船ヒラメ・鮎釣り・磯釣り・など年間を通じて行います、又GFG全体としては鮎釣り・磯釣りでは全国規模でのトーナメントも行っております。
懇親会やトーナメントにとらわれず、GFGで知り合った仲間との釣行も頻繁に行っておりますので、そんな釣りの風景を皆様にお届けいたします。
|
|
|
|
|
 |
| 6/22山形鶴岡由良の八乙女磯を会場に 磯釣り懇親会を参加者12名で行いました、地磯ですが渡船でしか行けない場所なのであります。 |
|
|
|
|
 |
当日の状況 当日の天候は曇り、北の風微風、波1m潮濁りはナシ、
ここで水色の話です、
一言で言うとすごく良いのです、
ブルーではなくグリーン・・、
磯釣り師ならお判りかと思いますが、
あのグリーンです、
「アー心躍る釣りになりそう!」
・・・
「早く渡りましょう」
と、言うことで
各磯に2名ずつ渡船し5時スタートの予定なのです。
|
 |
|
|
|
|
|
|
|
|
|
 |
渡船の池田さん
(鶴岡ダイビングサービス)
渡船時期は4・5・6月と9・10・11・12月
までとなります。
4月と12月は時化などにより渡船出来ない日が
多い為、年約5ヶ月の短い渡船期間となります。
人気の磯場に関しては、早めの予約が必要です。
尚、渡船の際は必ずライフジャケット着用で
お願いいたします。
料金は磯場3500円・離岸堤2500円となります。
よろしくお願いします。
|
 |
池田船長の談
水温19度、
数日前からエサ取(フグ)がすごく
釣りにくいと思います、
(エェーッマジ〜)
ただ、ここにきて
マダイも釣れてきましたので
頑張って下さい。
(ホッ)
そんじゃ〜行きましょう!
|
|
|
|
|
 |
|
 |
|
 |
| 池田さんは何週連続の磯釣りですか? 「ん・・わからん!?」 |
|
出港前の遊佐さんと大友さん、期待に溢れる釣り人の顔です! |
|
加藤さんに目標のサイズを聞いた時のリアクションです・・30cm? |
|
|
 |
|
 |
|
|
石川さんの竿が・・・「なんか黒くねーぞ〜」 |
|
船長のお言葉通り・・「ハイ・赤でした!」、でも良いサイズ・・刺身〜! |
|
|
GFG宮城 磯釣り懇親会
山形県由良・八乙女磯会場
船長が言っていたフグですが、
実際は餌取り達はほとんどおりませんでした。
たぶん、クロダイが寄っており
餌取り達は逃げていたのでは?
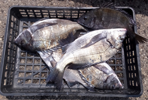
結果は12名参加で8名が釣果を見る
良い感じの磯釣りになりました。
優勝 :平さん 4.73kg 6枚
平さんはGFG杯でも優勝しております。
平さんの談
自分の乗った磯は、潮色も良く適度なサラシも有り
竿を出してみるとエサ取は居らずもしかして…
と思ってるうちに3投目で早くもヒット!
終了の時までコンスタントに釣れたのでした。
「イヤー、これだから磯釣りやめらねーのよ!」
2位 :克朗クン 3.68kg 5枚
3位 :遊佐さん 2.14kg 2枚
|
|
 |
| ※謝罪※当日、賞品の積み込みを忘れてしまいました〜!(故に写真ありませ〜ん)。 |
|
|
|
という事で、平成26年度よりGFG宮城支部の行事や出来事を釣的動画のページで皆様にお伝えする事になりました、
釣的動画の取材班も時々参加する時がありますのでその時は動画でもお見せ出来るかもしれません。
かまかつファングループ宮城支部に入会して一緒に釣りを楽しみませんか?
もちろん初心者でもOK、貴方のやりたい釣りをサポート致します、ご入会希望の方はGFG宮城支部 平 吉明まで
|
|
|
 |
動画閲覧にはMicrosoft社Windows Media Player9以上をインストールされた環境が必要です。 |
|
"釣的動画"で配信されている全ての動画はDVDとしてお買い求め出来ます。
尚、前編後編の二部構成コンテンツは前編後編合わせてのDVD変換にての納品となります。
「動画購入のお問い合わせ」 |
| Copyright (C) 2003 釣的動画 All Rights Reserved. |
|
|